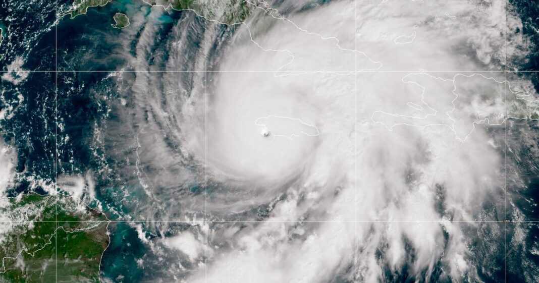
Hurricane Melissa made landfall Tuesday in Jamaica as a fearsome Category 5 storm. The most powerful hurricane to lash the island since record-keeping began 174 years ago and one of the strongest Atlantic storms ever recorded, Melissa struck Jamaica with sustained winds of 185 mph, the Miami-based National Hurricane Center said.Â
Melissa weakened somewhat after landfall, with the hurricane center saying at 4 p.m. ET that its winds had decreased to 150 mph, now a Category 4 speed.Â
The storm initially came ashore near New Hope, on the southwestern coast of Jamaica, and was moving toward the north-northeast at about 8 mph, the center said.
Landslides, fallen trees and numerous power outages were already being reported earlier Tuesday as the hurricane made its approach, with officials cautioning that the damage assessment will be slow.
“For Jamaica, it will be the storm of the century for sure,” said World Meteorological Organization tropical cyclone specialist Anne-Claire Fontan. She told reporters in Geneva that she expects catastrophic damage on the island, according to the Reuters news service.Â
NOAA/National Hurricane Center via Getty Images
Melissa could affect 1.5 million people in Jamaica, said International Federation of Red Cross and Red Crescent Societies official Necephor Mghendi in Geneva, warning there will be a “massive impact,” French news agency AFP reported.
Melissa was expected to continue its path over Jamaica and be over southeastern Cuba early Wednesday morning still as an extremely dangerous major hurricane, the NHC said. It could then reach the southeastern or central Bahamas later on Wednesday, still as a hurricane.
Hours before the storm, the Jamaican government said it had done all it could to prepare as it, too, warned of catastrophic damage.
“There is no infrastructure in the region that can withstand a Category 5,” Prime Minister Andrew Holness said. “The question now is the speed of recovery. That’s the challenge.”
Melissa is forecast to bring 15 to 30 inches of rain to areas of Jamaica and 6 to 12 inches to southern Hispaniola (the island split into Haiti and the Dominican Republic) through Wednesday, with a total of 40 inches possible in some places. “Catastrophic flash flooding and numerous landslides are likely,” the hurricane center warned.
“We will get through it together,” said Evan Thompson, principal director at Jamaica’s meteorological service. Â
Matias Delacroix/AP
For eastern Cuba, total rainfall could reach 10 to 20 inches, with as much as 25 inches in some spots from Monday into Wednesday, which could result in “life-threatening and potentially catastrophic flash flooding with numerous landslides,” the center added.
And total rainfall of 5 to 10 inches is expected today into Wednesday on the southeastern Bahamas, resulting in areas of flash flooding. Â
A life-threatening storm surge of up to 13 feet is expected across southern Jamaica, with officials concerned about the impact on some hospitals along the coastline.Â
Health Minister Christopher Tufton said some patients were relocated from the ground floor to the second floor “and (we) hope that will suffice for any surge that will take place.”
The storm was already blamed for seven deaths in the Caribbean, including three in Jamaica, three in Haiti and one in the Dominican Republic, where another person was missing.
Matias Delacroix/AP
Colin Bogle, a Mercy Corps adviser based near Kingston, said most families are sheltering in place despite the government ordering evacuations in flood-prone communities.
“Many have never experienced anything like this before, and the uncertainty is frightening,” he said. “There is profound fear of losing homes and livelihoods, of injury, and of displacement.”
Matthew Samuda, Jamaica’s water and environment minister, said he had more than 50 generators available to deploy after the storm, but warned people to set aside clean water and use it sparingly.
“Every drop will count,” he said.
In Cuba, a hurricane warning was in effect for Granma, Santiago de Cuba, Guantánamo, Holguin and Las Tunas provinces, while a tropical storm warning was in effect for Camaguey province. Cuban officials said Monday that they were evacuating more than 600,000 people from the eastern region of the country, including Santiago, the island’s second-largest city.
Melissa also has drenched the southern regions of Haiti and the Dominican Republic, with a tropical storm warning still in effect for Haiti.
A hurricane warning was in effect for the southeastern and central Bahamas, and a tropical storm warning was issued for the Turks and Caicos Islands.
The U.S. State Department issued natural disaster travel alerts for Cuba, Jamaica, Haiti and the Bahamas on Monday, urging U.S. citizens to consider leaving while flights were still available, or be prepared to shelter in place.
And CBS News confirmed that a Hurricane Hunters aircraft from the National Oceanic and Atmospheric Administration was forced on Monday to abort its mission when it experienced “severe turbulence” in the storm’s southwestern eyewall.




